Casa indipendente con giardino a Longastrino

In vendita
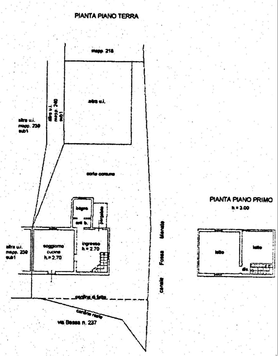
Alfonsine (Longastrino) - via Bassa , 237
49.000 €
Photo 1
Casa singola
Categoria
142
m2
4
Locali
2
Camere
1
Bagni
1
Posti auto
Descrizione
Rif.C-135FG1 L’azienda Noi Immobiliare propone in vendita, in esclusiva, casa abbinata da un lato a Longastrino.
L’immobile si trova a 10km da Alfonsine ed è vicino a tutti i servizi principali.
L’immobile si sviluppa su due piani è così composto: al piano terra la zona giorno con ingresso accessibile da un pergolato, soggiorno/cucina, disimpegno e bagno; per mezzo di una scala interna, si accede al primo piano con la zona notte formata da un disimpegno con due camere da letto matrimoniali.
Sulla facciata nord del fabbricato è stato realizzato un cappotto isolante di 5 cm di spessore.
Gli infissi sono con vetrocamera e gli altri elementi di finitura come pavimenti, rivestimenti, sono in un discreto stato di conservazione.
Gli impianti sono a norma e non devono essere adeguati alla normativa vigente.
All’esterno troviamo un giardino esclusivo con due cantine, ripostiglio e legnaia.
Per informazioni e visite contattare Monica S. 3336560412 | Federica G. 3388925828
Caratteristiche principali
Codice:
C-135FG1
Città:
Alfonsine (Longastrino)
Categoria:
Casa singola
Locali:
4
Camere:
2
Bagni:
1
Mq:
142
Posti auto:
1
Piano:
Terra
Anno:
1960
Classe energetica:
G
Stato Immobile:
Buono
Grado:
Signorile
Posizione:
Periferia
Panorama:
Vista Aperta
Lati Liberi:
3
Giardino:
Privato
Arredi:
Possibilità
Tipo Soggiorno:
Soggiorno
Tipo Cucina:
Angolo Cottura
Riscaldamento:
Autonomo
Tipo Riscaldam.:
Caldaia
Tipo Impianto:
Radiatori
Fonte Energetica:
Gas
Infissi:
PVC Doppio Vetro
Accessori
Doppi Vetri
Rete Dati
Mappa
Video
Cookie preference